Öffentliche Bekanntmachung
Offenlagebeschluss des Bebauungsplanes Nr. 158 „Steinenbrück am Holzbach“
Der Bau- und Planungsausschuss der Stadt Overath hat in seiner Sitzung am 02.12.2025 die öffentliche Auslegung des Bebauungsplanes Nr. 158 „Steinenbrück am Holzbach“ gemäß den Bestimmungen des Baugesetzbuches beschlossen:
- Der Bau- und Planungsausschuss der Stadt Overath beschließt, den Entwurf des Bebauungsplanes Nr. 158 „Steinenbrück am Holzbach“ nebst Begründung gemäß § 3 Abs. 2 BauGB öffentlich auszulegen. Gleichzeitig mit der Auslegung nach § 3 Abs. 2 BauGB soll die Einholung der Stellungnahmen nach § 4 Abs. 2 BauGB durchgeführt werden.
Die Aufstellung des Bebauungsplans ermöglicht eine Wiedernutzbarmachung eines vormals mit Wohnhäusern und einer Lagerhalle bereits überwiegend bebauten sowie erschlossenen Grundstücks. Durch die Bebauung des Plangebiets wird der bereits bebaute rückwärtige Bereich entlang der Olper Straße nachverdichtet. Damit entspricht die Aufstellung des Bebauungsplans dem im § 1 Abs. 5 BauGB verankerten Leitbild der Innenentwicklung. Die Bebauung bereits erschlossener Grundstücke im Innenbereich ist demnach Entwicklungen im Außenbereich vorzuziehen, da dadurch die Inanspruchnahme von unerschlossenen Freiflächen in Außenbereich reduziert und erhebliche Umweltauswirkungen vermieden werden.
Demgemäß erfüllt der Plan die Voraussetzungen des § 13a Abs. 1 BauGB und kann im beschleunigten Verfahren aufgestellt werden. Das Verfahren soll demnach angepasst werden. Folgerichtig wird von der Umweltprüfung, von dem Umweltbericht, von der Angabe, welche umweltbezogenen Informationen verfügbar sind, von der zusammenfassenden Erklärung nach § 10a Abs. 1 BauGB und von einer Überwachung nach § 4c BauGB abgesehen. Im beschleunigten Verfahren gelten in den Fällen des Absatzes 1 Satz 2 Nr. 1 BauGB Eingriffe, die auf Grund der Aufstellung des Bebauungsplans zu erwarten sind, als im Sinne des § 1a Abs. 3 Satz 6 BauGB vor der planerischen Entscheidung erfolgt als zulässig.
Im beschleunigten Verfahren kann gemäß § 13a Abs. 2 Nr. 1 i. V. m. § 13 Abs. 2 Nr. 1 BauGB auch von der frühzeitigen Unterrichtung und Erörterung nach §§ 3 Abs. 1 und 4 Abs. 1 BauGB abgesehen werden. Um Bürgerinnen und Bürger, Träger öffentlicher Belange und die politischen Entscheidungsträger umfassend zu partizipieren sowie etwaige Problematiken bereits frühzeitig zu identifizieren, wurde dennoch eine frühzeitige Beteiligung der Öffentlichkeit sowie der Behörden und sonstigen Träger öffentlicher Belange gemäß §§ 3 Abs. 1 und 4 Abs. 1 BauGB in der Zeit vom 19.05.2025 bis einschließlich 20.06.2025 durchgeführt.
Gleichzeitig wurde durch die SEGO für dieses Plangebiet eine Artenschutzprüfung ASP I, eine Prüfung des Schallschutzes aufgrund der Nähe zur Autobahn sowie ein wassertechnisches Gutachten und hydraulische Berechnung zur Renaturierung und Offenlegung des kanalisierten Holzbaches im Plangebiet und des festgesetzten Überschwemmungsgebietes durchgeführt, um den örtlichen Gegebenheiten Rechnung zu tragen, welche in den Bebauungsplan aufgenommen werden.
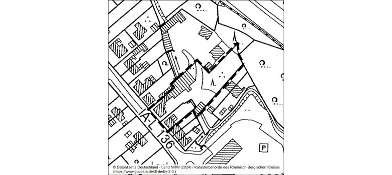
Die Lage des Plangebietes ist dem beigefügten Übersichtsplan (nicht maßstabsgerecht) zu entnehmen.
Die Satzung wird im beschleunigten Verfahren gem. § 13a BauGB aufgestellt. Es wird gemäß § 13 Abs. 3 BauGB darauf hingewiesen, dass von der Umweltprüfung nach § 2 Abs. 4 BauGB, dem Umweltbericht nach § 2a BauGB und der Angabe nach § 3 Abs. 2 S. 2 BauGB, welche Arten umweltbezogener Informationen verfügbar sind sowie von der zusammenfassenden Erklärung nach § 10a Abs. 1 BauGB abgesehen wird. Die Darstellung des Flächennutzungsplanes wird im Wege der Berichtigung gem. § 13a Abs. 2 Nr. 2 BauGB angepasst.
Der Entwurf des Bebauungsplanes, die Begründung zum Bebauungsplan sowie die ergänzenden Fachgutachten (Lärmschutzgutachten, Artenschutzprüfung Stufe I, Hydraulischer Nachweis) werden in der Zeit vom 19.01.2026 bis einschließlich 20.02.2026 im Amt für Bauplanung und Bauordnung der Stadt Overath, Hauptstr. 10, Erdgeschoss während der nachstehend genannten Dienststunden öffentlich ausgelegt.
morgens: montags bis freitags von 8.00 Uhr bis 12.00 Uhr,
nachmittags: donnerstags von 14.00 Uhr bis 17.00 Uhr
Der Entwurf und die Begründung des Bebauungsplanes sowie die ergänzenden Fachgutachten können ebenfalls auf der Internetseite der Stadt Overath unter https://www.overath.de/aktuelles/aktuelle-bauleitplanung/ eingesehen werden.
Während der Auslegungsfrist können von jedermann Stellungnahmen zu dem Bauleitplan unter der oben aufgeführten Adresse schriftlich (postalisch oder per E-Mail) bei der Stadt Overath eingereicht oder zu den vorbezeichneten Zeiten zur Niederschrift erklärt werden. Nach Ablauf der Auslegungsfrist entscheidet der Rat der Stadt Overath in öffentlicher Sitzung über die eingegangenen Stellungnahmen. Das Ergebnis wird mit Angabe der Entscheidungsgründe mitgeteilt. Nicht fristgemäß abgegebene Stellungnahmen können bei der Beschlussfassung über den Bauleitplan unberücksichtigt bleiben (gem. § 3 Abs. 2 S.2 BauGB, § 4a Abs. 6 BauGB).
Die schriftlichen Stellungnahmen richten Sie bitte an die Stadt Overath, Amt für Bauplanung und Bauordnung, Hauptstraße 10, 51491 Overath oder per E-Mail an: planverfahren@overath.de.
Barrierefreiheit: Einen stufenlosen Eingang finden Sie auf der Rückseite des Gebäudes (von der Westseite des Gebäudes aus zugänglich).
Rechtsgrundlage: § 13a BauGB und § 13 BauGB sowie § 3 Abs. 2 BauGB in der bei Veröffentlichung dieser Bekanntmachung geltenden Fassung.

Geltungsbereich des Bebauungsplanes Nr. 158 „Steinenbrück am Holzbach“
Overath, den 09.01.2026
gez.
Michael Eyer
Der Bürgermeister